รายชื่อพรรณไม้ในยานี ๑๑ พรรณพฤกษา กับ สัตวาภิธาน



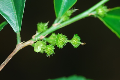
ชื่อในยานี ๑๑ : สบู่

ชื่อทางราชการ : สบู่ดำ

ชื่อพื้นเมืองอื่น ๆ : พมักเยา มะเยา มะหัว มะหุ่งฮั้ว มะโห่ง สบู่หัวเทศ สลอดดำ สลอดป่า สลอดใหญ่ สีหลอด หงเทก Barbados nut, Physic nut, Pulza, Purging nut

ชื่อพฤกษศาสตร์ : Jatropha curcas L.

วงศ์ : Euphorbiaceae


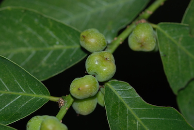
ชื่อในยานี ๑๑ : หูปลา

ชื่อทางราชการ : หูปลาช่อน

ชื่อพื้นเมืองอื่น ๆ : Silver leaf

ชื่อพฤกษศาสตร์ : Symphyotricum cordifolium (L.) G. L. Nesom

วงศ์ : Asteraceae


ชื่อในยานี ๑๑ : งา

ชื่อทางราชการ : งา

ชื่อพื้นเมืองอื่น ๆ : งาขาว งาดำ นีโซ ไอยู่มั่ว Sesame

ชื่อพฤกษศาสตร์ : Sesamum indicum L.

วงศ์ : Pedaliaceae


ชื่อในยานี ๑๑ : โหระภา

ชื่อทางราชการ : โหระภา

ชื่อพื้นเมืองอื่น ๆ : ห่อกวยซวย ห่อวอซุ อิ่มคิมขาว Common basil, Sweet basil

ชื่อพฤกษศาสตร์ : Ocimum basilicum L.

วงศ์ : Lamiaceae


ชื่อในยานี ๑๑ : หญ้าใต้ใบ

ชื่อทางราชการ : หญ้าใต้ใบ

ชื่อพื้นเมืองอื่น ๆ : ไฟเดือนห้า มะขามป้อมดิน หมากไข่หลัง Chamber bitter

ชื่อพฤกษศาสตร์ : Phyllanthus urinaria L.

วงศ์ : Phyllanthaceae




ชื่อในยานี ๑๑ : หญ้าคา

ชื่อทางราชการ : หญ้าคา

ชื่อพื้นเมืองอื่น ๆ : เก้อฮี ลาลาง ลาแล Alang alang, Cotton wool grass

ชื่อพฤกษศาสตร์ : Imperata cylindrica (L.) Raeusch.

วงศ์ : Poaceae


ชื่อในยานี ๑๑ : ประ

ชื่อทางราชการ : ประ

ชื่อพื้นเมืองอื่น ๆ : กระ ปีระ

ชื่อพฤกษศาสตร์ : Elateriospermum tapos Blume

วงศ์ : Euphorbiaceae


ชื่อในยานี ๑๑ : หญ้าไซร

ชื่อทางราชการ : หญ้าคมบาง

ชื่อพื้นเมืองอื่น ๆ : หญ้าทราย หญ้าไทร Bareet grass, Rice grass, Southern cut grass, Swamp rice grass

ชื่อพฤกษศาสตร์ : Leersia hexandra Sw.

วงศ์ : Poaceae




ชื่อในยานี ๑๑ : ไม้คำ

ชื่อทางราชการ : คำรอก

ชื่อพื้นเมืองอื่น ๆ : กระโรงแดง จันนกกด ช้างน้าว ตานกกดน้อย ประดงเลือด ลาเกาะกายู หมาตายทากลาก หำฟาน อุ่นขี้ไก่

ชื่อพฤกษศาสตร์ : Ellipanthus tomentosus Kurz

วงศ์ : Connaraceae


ชื่อในยานี ๑๑ : ไม้อ้อ

ชื่อทางราชการ : อ้อ

ชื่อพื้นเมืองอื่น ๆ : อ้อลาย อ้อใหญ่

ชื่อพฤกษศาสตร์ : Arundo donax L.

วงศ์ : Poaceae


ชื่อในยานี ๑๑ : ขลู่

ชื่อทางราชการ : ขลู่

ชื่อพื้นเมืองอื่น ๆ : ขลู หนวดงั่ว หนวดงิ้ว หนวดงัว หนาดวัว Indian marsh fleabane

ชื่อพฤกษศาสตร์ : Pluchea indica (L.) Less.

วงศ์ : Asteraceae


ชื่อในยานี ๑๑ : คุคะ

ชื่อทางราชการ :

ชื่อพื้นเมืองอื่น ๆ : ไม้เถาชนิดหนึ่ง ใช้ทำยาได้ ปัจจุบันไม่ปรากฏชื่อในหนังสือพรรณไม้ของไทย

ชื่อพฤกษศาสตร์ :

วงศ์ :


ชื่อในยานี ๑๑ : ปะหล่ำ

ชื่อทางราชการ :

ชื่อพื้นเมืองอื่น ๆ : พรรณไม้ชนิดหนึ่ง ปัจจุบันไม่ปรากฏชื่อในหนังสือพรรณไม้ของไทย

ชื่อพฤกษศาสตร์ :

วงศ์ :




ชื่อในยานี ๑๑ : กอไผ่

ชื่อทางราชการ : ไผ่ป่า

ชื่อพื้นเมืองอื่น ๆ : จะกั๊ตวา ชารอง ชาเรียง ไผ่ซางหนาม ทะงาน ทูน ไผ่รวก ไผ่หนาม ระไซ วาชุ แวซู Giant thorny bamboo, Indian thorny bamboo

ชื่อพฤกษศาสตร์ : Bambusa bambos (L.) Voss.

วงศ์ : Gramineae


ชื่อในยานี ๑๑ : ไพลดำ

ชื่อทางราชการ : ไพลดำ

ชื่อพื้นเมืองอื่น ๆ :

ชื่อพฤกษศาสตร์ : Zingiber mekongense Gagnep.

วงศ์ : Zingiberaceae




ชื่อในยานี ๑๑ : สะแก

ชื่อทางราชการ : สะแกนา

ชื่อพื้นเมืองอื่น ๆ : แก ขอนแข้ จองแข้ ซังแก แพ่ง

ชื่อพฤกษศาสตร์ : Combretum quadrangulare Kurz

วงศ์ : Combretaceae


ชื่อในยานี ๑๑ : สาเก

ชื่อทางราชการ : สาเก

ชื่อพื้นเมืองอื่น ๆ : ขนุนสำปะลอ สำมะลอ Bread fruit tree, Bread nut tree

ชื่อพฤกษศาสตร์ : Artocarpus altilis (Parkinson ex F. A. Zorn) Fosberg

วงศ์ : Moraceae




ชื่อในยานี ๑๑ : โพทะเล

ชื่อทางราชการ : โพทะเล

ชื่อพื้นเมืองอื่น ๆ : บากู ปอกะหมัดไพร ปอมัด"ซ Cock tree, Portia tree, Rosewood of Seychelles, Tulip tree

ชื่อพฤกษศาสตร์ : Thespesia populnea (L.) Sol. ex Corrêa

วงศ์ : Malvaceae




ชื่อในยานี ๑๑ : กระทือผี

ชื่อทางราชการ : ไพลนก

ชื่อพื้นเมืองอื่น ๆ :

ชื่อพฤกษศาสตร์ : Zingiber gramineum Noronha ex Blume

วงศ์ : Zingiberaceae




ชื่อในยานี ๑๑ : ชาฤๅษี

ชื่อทางราชการ : ชาข่อย

ชื่อพื้นเมืองอื่น ๆ : กาน้ำ จ๊าข่อย ชาญวน ชาป่า ผักดุก ผักดูด

ชื่อพฤกษศาสตร์ : Acalypha siamensis Oliv. ex Gage

วงศ์ : Euphorbiaceae




ชื่อในยานี ๑๑ : สมอทะเล

ชื่อทางราชการ : สมอทะเล

ชื่อพื้นเมืองอื่น ๆ : กระหุด กือเราะ กุระ กุลา คือรัก

ชื่อพฤกษศาสตร์ : Shirakiopsis indica (Willd.) Esser

วงศ์ : Euphorbiaceae




ชื่อในยานี ๑๑ : มะกา

ชื่อทางราชการ : มะกา

ชื่อพื้นเมืองอื่น ๆ : กอง ก้องแกบ ขี้เหล้ามาดกา ซำซา มัดกา มาดกา ส่าเหล้า สิวาลา

ชื่อพฤกษศาสตร์ : Bridelia ovata Decne.

วงศ์ : Phyllanthaceae




ชื่อในยานี ๑๑ : มลิลา

ชื่อทางราชการ : มะลิลา

ชื่อพื้นเมืองอื่น ๆ : ข้าวแตก เตียมูน มะลิ มะลิขี้ไก่ มะลิซ้อน มะลิป้อม มะลิหลวง

ชื่อพฤกษศาสตร์ : Jusminum sambac (L.) Aiton

วงศ์ : Oleaceae




ชื่อในยานี ๑๑ : สาคู

ชื่อทางราชการ : สาคู

ชื่อพื้นเมืองอื่น ๆ : Sago palm

ชื่อพฤกษศาสตร์ : Metroxylon sagu Rottb.

วงศ์ : Arecaceae


ชื่อในยานี ๑๑ : เลา

ชื่อทางราชการ : เลา

ชื่อพื้นเมืองอื่น ๆ : แขมดอกขาว คาหลง คาหลวง พง อ้อยแดง อ้อยเลา Wild cane

ชื่อพฤกษศาสตร์ : Saccharum spontaneum L.

วงศ์ : Poaceae


หน้า 1 | 2 | 3 | 4 | 5